_Chemsak_and_Linsley_CAS_10134.jpg)
Specimen Type: holotype Sex: m Institution: CAS California Academy of Sciences, San Francisco, CA, USA Photographer: Larry G. Bezark Collection Location: Culiacan, Sinaloa, Mexico 22603
|
_Chemsak_and_Linsley_UCB.jpg)
Specimen Type: allotype Institution: EMEC Essig Museum of Entomology, Berkeley, CA, USA 15238
|
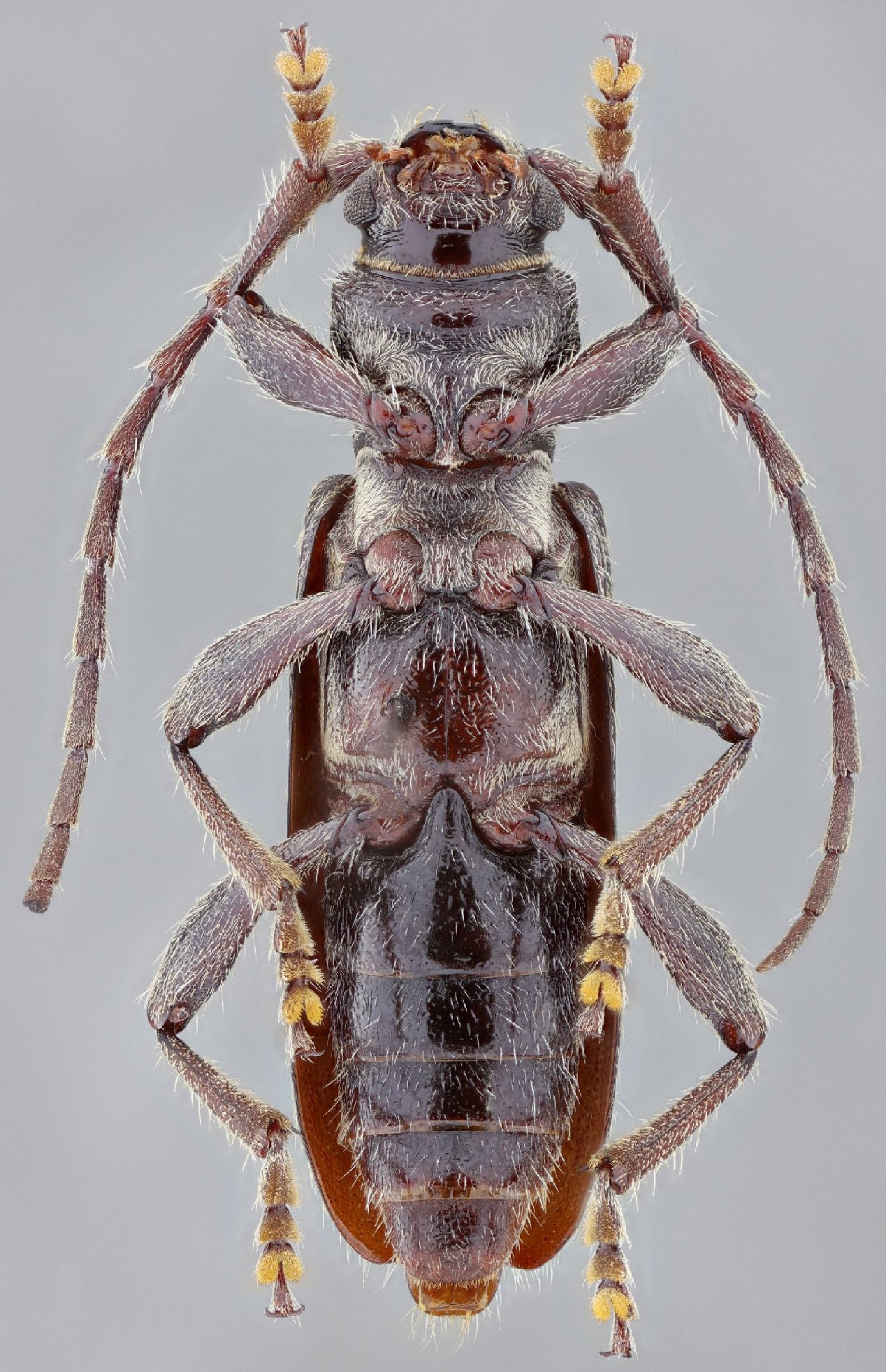
_Chemsak_and_Linsley_Oaxaca_UCB.jpg)
Specimen Type: paratype Institution: UCB Essig Museum of Entomology, Berkeley, California, USA Photographer: Larry G. Bezark Collection Location: Oaxaca, Mexico 4448
|
 Ch Lins FSCA Sierra las Minas, rd to San Lorenzo, Zacapa, Guatemala SS.jpg)
Sex: f Institution: FSCA Florida State Collection of Arthropods, Gainesville, FL, USA Photographer: Antonio Santos-Silva Collection Location: Sierra las Minas, rd to San Lorenzo, Zacapa, Guatemala 76633
|
 Ch Lins FSCA Sierra las Minas, rd to San Lorenzo, Zacapa, Guatemala SS.jpg)
Sex: f Institution: FSCA Florida State Collection of Arthropods, Gainesville, FL, USA Photographer: Antonio Santos-Silva Collection Location: Sierra las Minas, rd to San Lorenzo, Zacapa, Guatemala 76634
|
 Ch Lins FSCA Sierra las Minas, rd to San Lorenzo, Zacapa, Guatemala SS.jpg)
Sex: f Institution: FSCA Florida State Collection of Arthropods, Gainesville, FL, USA Photographer: Antonio Santos-Silva Collection Location: Sierra las Minas, rd to San Lorenzo, Zacapa, Guatemala 76635
|
 Ch Lins FSCA Sierra las Minas, rd to San Lorenzo, Zacapa, Guatemala SS.jpg)
Sex: f Institution: FSCA Florida State Collection of Arthropods, Gainesville, FL, USA Photographer: Antonio Santos-Silva Collection Location: Sierra las Minas, rd to San Lorenzo, Zacapa, Guatemala 76636
|
|