New Search Family, Subfamily and Tribe List

SubFamily Lamiinae

Tribe Parmenini
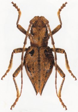
Ceraegidion dorrigoensis McKeown 1937

Specimen Type: holotype
Sex: f
Institution: AMSA Australian Museum Sydney, Australia
Photographer: Slipinski & Escalona
Collection Location: Dorrigo, New South Wales, Australia
52881


Photographer: Slipinski & Escalona
55675

130425