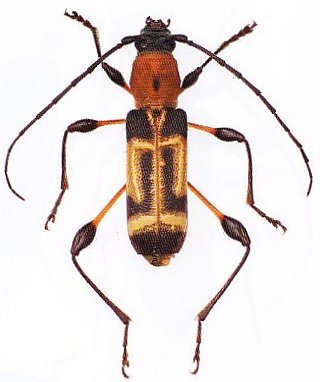
_Blackburn_MV_N_Qld_Aust_now_Acrogenoides_Slip_Esc.jpg)
Acrogenius tinctus Blackburn Specimen Type: holotype Sex: f? Institution: NMM National Museum of Victoria, Melbourne, Australia Photographer: Slipinski & Escalona Collection Location: Northern Queensland, Australia 61250
|

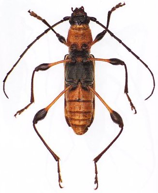
Photographer: Slipinski & Escalona 61251
|