New Search Family, Subfamily and Tribe List

SubFamily Cerambycinae

Tribe Glaucytini
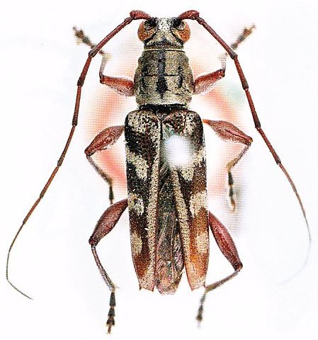
Scituloglaucytes suturalis (Pascoe, 1867)

Glaucytes suturalis Pascoe
Specimen Type: holotype
Institution: BMNH British Museum Natural History, London, UK
Photographer: Slipinski & Escalona
Collection Location: Cape York, Queensland, Australia
61583

130425