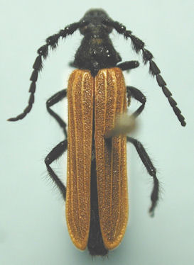
_Pascoe_Sydney_NSW_Aust_Slip_Esc.jpg)
Specimen Type: holotype Institution: BMNH British Museum Natural History, London, UK Photographer: Slipinski & Escalona Collection Location: Sydney, New South Wales, Australia 61573
|

Photographer: Slipinski & Escalona 61574
|
_Pascoe_Slip_Esc.jpg)
Photographer: Slipinski & Escalona 61575
|
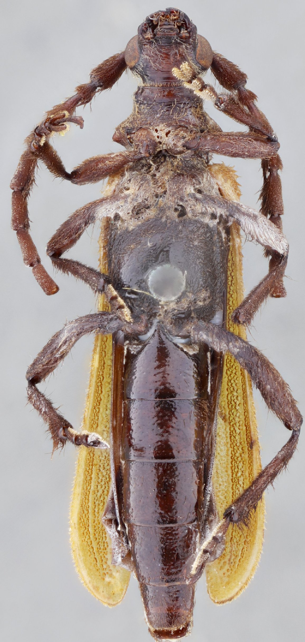
 Pascoe MZSP Lower Tarwin, Australia SS.jpg)
Institution: MZSP Museu de Zoologia da Universidade de São Paulo, Brazil Photographer: Antonio Santos-Silva Collection Location: Lower Tarwin, Australia 76962
|

Institution: LGBC Larry G. Bezark Collection, Sacramento, California, USA Photographer: Larry G. Bezark 39055
|

Photographer: Agriculture Western Australia Natarsha Zilm 39056
|

39057
|
|