_Blackburn_BMNH_N_Queensland_Aust_LGB.jpg)
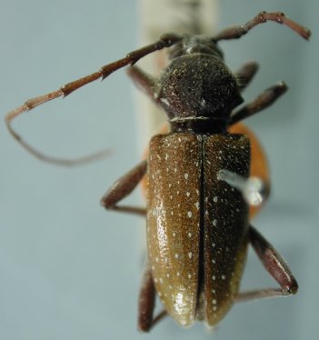
Specimen Type: holotype Sex: m Institution: BMNH British Museum Natural History, London, UK Photographer: Larry G. Bezark Collection Location: Queensland, Australia 48583
|
_Blackburn_BMNH_N_Queensland_Aust_LGB.jpg)
Specimen Type: holotype Sex: m Institution: BMNH British Museum Natural History, London, UK Photographer: Larry G. Bezark Collection Location: Queensland, Australia 48584
|
_Blackburn_MV_N_Qld_Aust_Slip_Esc.jpg)
Specimen Type: syntype Institution: NMM National Museum of Victoria, Melbourne, Australia Photographer: Slipinski & Escalona Collection Location: Queensland, Australia 62043
|
|