_White_BMNH_Melbounre_Victoria_Aust_Slip_Esc.jpg)
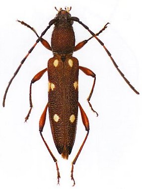
Specimen Type: holotype Institution: BMNH British Museum Natural History, London, UK Photographer: Slipinski & Escalona Collection Location: Melbourne, Victoria, Australia 61549
|

Photographer: Slipinski & Escalona 61550
|

38563
|

Sex: mf Institution: BPBM Bernice P. Bishop Museum, Honolulu, Hawaii, USA Photographer: Jim Cope 38564
|
|