New Search Family, Subfamily and Tribe List

SubFamily Cerambycinae

Tribe Deilini
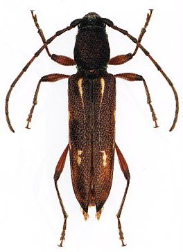
Eburophora eburata (Pascoe, 1865)

Sophron eburatus Pascoe
Specimen Type: holotype
Institution: BMNH British Museum Natural History, London, UK
Photographer: Slipinski & Escalona
Collection Location: Gawler, Southern Australia
61887


Photographer: Slipinski & Escalona
61548

130425