_BMNH_Oaxaca_Mex_nowAnelaphus_LGB.jpg)
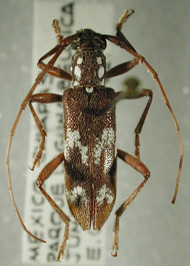
Hypermallus eximius Bates Specimen Type: holotype Sex: m? Institution: BMNH British Museum Natural History, London, UK Photographer: Larry G. Bezark Collection Location: Oaxaca, Mexico 46873
|
_Bates_BMNH_JAC_=_Anelaphus_eximium.jpg)
Hypermallus eximius Bates Specimen Type: holotype Sex: m? Institution: BMNH British Museum Natural History, London, UK Photographer: John Chemsak Collection Location: Oaxaca, Mexico 16860
|