New Search Family, Subfamily and Tribe List

SubFamily Cerambycinae

Tribe Distichocerini
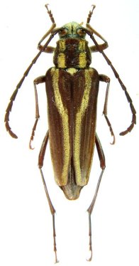
Distichocera fuliginosa Blanchard 1832

Photographer: Dooseok Yi, Cerambycoidea Forum
Collection Location: Vic Sydney, Australia
49259


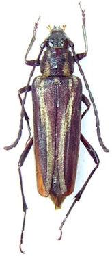
Institution: CAS California Academy of Sciences, San Francisco, CA, USA
Photographer: Larry G. Bezark
37839


37840


Distichocera par Newman
Determiner: Agriculture Western Australia Natarsha Zilm
37846

130425