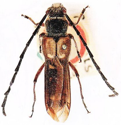
_Kirby_BMNH_New_Holland_Aust_now_Hesthesis_Slip_Esc.jpg)
Molorchus cingulatus Kirby Specimen Type: holotype Sex: f Institution: BMNH British Museum Natural History, London, UK Photographer: Slipinski & Escalona Collection Location: New Hollandia, Australia 61654
|
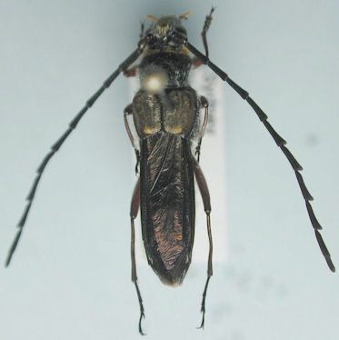
_Pascoe_BMNH_Sydney_NSW_Australia_now_cingulatus_Slip_Esc.jpg)
Hesthesis moerens Pascoe Specimen Type: holotype Institution: BMNH British Museum Natural History, London, UK Photographer: Slipinski & Escalona Collection Location: Sydney, New South Wales, Australia 61597
|
_Pascoe_BMNH_NSW_Australia_Slip_Esc.jpg)
Hesthesis murinus Pascoe Specimen Type: holotype Institution: BMNH British Museum Natural History, London, UK Photographer: Slipinski & Escalona Collection Location: New South Wales, Australia 61599
|
_Slip_Esc.jpg)
Photographer: Slipinski & Escalona 61592
|

Institution: CAS California Academy of Sciences, San Francisco, CA, USA Photographer: Larry G. Bezark 50848
|

Photographer: Agriculture Western Australia, Natarsha Zilm 50849
|
_LGB.jpg)
Institution: LGBC Larry G. Bezark Collection, Sacramento, California, USA Photographer: Larry G. Bezark 50850
|
|