New Search Family, Subfamily and Tribe List

SubFamily Cerambycinae

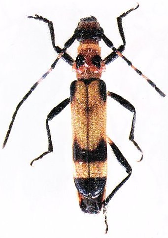
Tribe Macronini
Oroderes leai Slipinski & Escalona 2016

Earinis humeralis Lea
Specimen Type: syntype
Institution: SAMA South Australian Museum, Adelaide
Photographer: Slipinski & Escalona
Collection Location: Townsville, Queensland, Australia
61536

130425