New Search Family, Subfamily and Tribe List

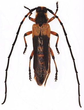
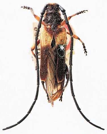
SubFamily Cerambycinae

Tribe Bimiini
Bimia waterhousei (Pascoe, 1864)

Akiptera waterhousei Pascoe
Specimen Type: holotype
Institution: BMNH British Museum Natural History, London, UK
Photographer: Slipinski & Escalona
Collection Location: S Australia
61261


Photographer: Slipinski & Escalona
61363


Photographer: Slipinski & Escalona
61364

130425