New Search Family, Subfamily and Tribe List

SubFamily Cerambycinae

Tribe Psilomorphini
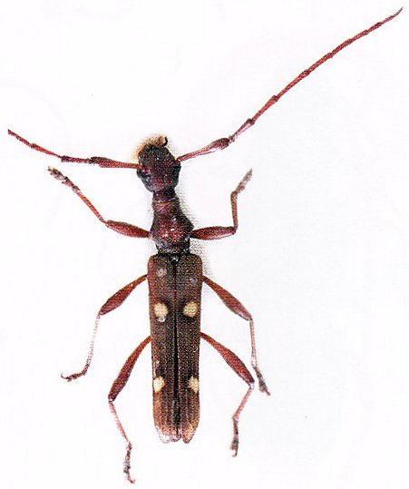
Quasiaphneope quadrimaculata (Van der Poll) 1891

Aphneope quadrimaculata Van der Poll
Specimen Type: holotype
Sex: f
Institution: BMNH British Museum Natural History, London, UK
Photographer: Slipinski & Escalona
Collection Location: Queensland, Australia
61286


Photographer: Slipinski & Escalona
61849

130425