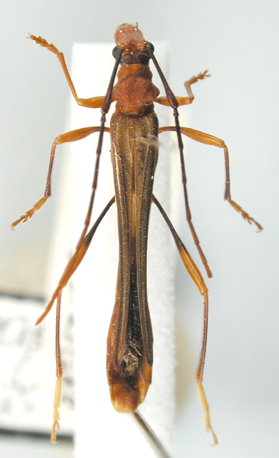
_Lea_SAM_Hobart_Tasmania_Aust_Slip_Esc.jpg)
Specimen Type: syntype Institution: SAMA South Australian Museum, Adelaide Photographer: Slipinski & Escalona Collection Location: Hobart, Tasmania, Australia 61642
|

Institution: JCPC Jim Cope Collection, San Jose, California, USA now at CSCA, Sacramento Photographer: Larry G. Bezark Determiner: Graeme Krake Collection Location: Lake Mountain, Victoria, Australia 99062
|