New Search Family, Subfamily and Tribe List

SubFamily Cerambycinae

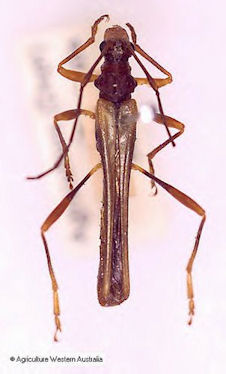
Tribe Macronini
Macrones besti Blackburn 1907

Specimen Type: holotype
Institution: BMNH British Museum Natural History, London, UK
Photographer: Slipinski & Escalona
Collection Location: Buffalo Mount, Victoria, Australia
61636


Photographer: Agriculture Western Australia, Natarsha Zilm
51972

130425