_Chemsak_UNAM_Est_Biol_Chamela_Jalisco_Mex.jpg)
Specimen Type: holotype Sex: m Institution: UNAM Instituto de Biología, Universidad Nacional Autónoma de México, Mexico City Photographer: Susan Gomez (UNAM) Collection Location: Estacion Biologia Chamela, Jalisco, Mexico 29943
|
_Chemsak_UNAM_Est_Biol_Chamela_Jalisco_Mex.jpg)
Specimen Type: holotype Sex: m Institution: UNAM Instituto de Biología, Universidad Nacional Autónoma de México, Mexico City Photographer: Susan Gomez (UNAM) Collection Location: Estacion Biologia Chamela, Jalisco, Mexico 29944
|
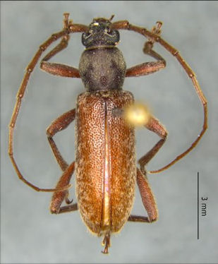
_Chemsak_UNAM_Est_Biol_Chamela_Jalisco_Mex.jpg)
Specimen Type: holotype Sex: m Institution: UNAM Instituto de Biología, Universidad Nacional Autónoma de México, Mexico City Photographer: Susan Gomez (UNAM) Collection Location: Estacion Biologia Chamela, Jalisco, Mexico 29945
|
_Chemsak_Sinaloa_Mexico_UCB.jpg)
Specimen Type: paratype Institution: UCB Essig Museum of Entomology, Berkeley, California, USA Photographer: Larry G. Bezark Collection Location: Sinaloa, Mexico 4412
|
|