_Newman_BMNH_Adelaide_Aust_now_Sylittus_Slip_Esc.jpg)
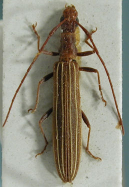
Stenoderus grammicus Newman Specimen Type: holotype Institution: BMNH British Museum Natural History, London, UK Photographer: Slipinski & Escalona Collection Location: Adelaide, Australia 61913
|
_Det_Cope_LGB.jpg)
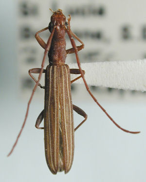
Institution: LGBC Larry G. Bezark Collection, Sacramento, California, USA Photographer: Larry G. Bezark Determiner: Jim Cope 63309
|

Institution: CAS California Academy of Sciences, San Francisco, CA, USA Photographer: Larry G. Bezark 63310
|
|