_Lea_Mullewa_W_Aust_SAM_Slip_Esc.jpg)
Specimen Type: holotype Sex: m Institution: SAMA South Australian Museum, Adelaide Photographer: Slipinski & Escalona Collection Location: Lake Mullewa, Western Australia 62097
|
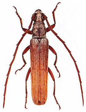
_McKeown_WA_Lake_Violet_W_Aust_now_ventralis_Slip_Esc.jpg)
Uracanthus multilineatus McKeown Specimen Type: holotype Sex: m Institution: WAM Western Australian Museum, Perth Photographer: Slipinski & Escalona Collection Location: Lake Violet, Western Australia 62096
|