_Lea_SAM_Murat_Bay_S_Aust_Slip_Esc.jpg)
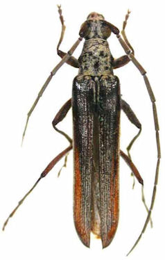
Specimen Type: holotype Sex: m Institution: SAMA South Australian Museum, Adelaide Photographer: Slipinski & Escalona Collection Location: Murat Bay, Southern Australia 62112
|

Specimen Type: holotype Sex: m Institution: SAMA South Australian Museum, Adelaide Photographer: Thongphak & Wang Collection Location: Murat Bay, Southern Australia 66511
|