New Search Family, Subfamily and Tribe List

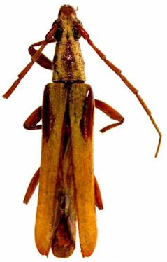
SubFamily Cerambycinae

Tribe Uracanthini
Uracanthus simulans Pascoe 1866

Specimen Type: holotype
Institution: BMNH British Museum Natural History, London, UK
Photographer: Slipinski & Escalona
Collection Location: Southern Australia
62109


Photographer: Thongphak & Wang
66506


Photographer: Natarsha Zilm, Agriculture Western Australia
66507

130425