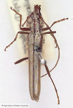
_Lea_SAM_Mt_Lofty_Range_S_Aust_Slip_Esc.jpg)
Specimen Type: holotype Sex: m Institution: SAMA South Australian Museum, Adelaide Photographer: Slipinski & Escalona Collection Location: Mt Lofty Range, South Australia 62065
|
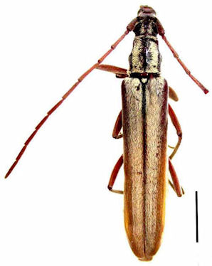
_Lea_ANIC_Mt_Lofty_Range_S_Aust_Slip_Esc.jpg)
Specimen Type: paratype Institution: ANIC Australian National Insect Collection, Canberra Photographer: Slipinski & Escalona Collection Location: Mt Lofty Range, South Australia 62066
|