New Search Family, Subfamily and Tribe List

SubFamily Cerambycinae

Tribe Uracanthini
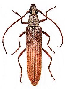
Uracanthus albatus Lea 1916

Specimen Type: holotype
Sex: m
Institution: SAMA South Australian Museum, Adelaide
Photographer: Slipinski & Escalona
Collection Location: Dimboola, Victoria, Australia
62050


Photographer: Slipinski & Escalona
62051


Photographer: Natarsha Zilm, Agriculture Western Australia
66459


Photographer: Thongpak & Wang
66460

130425