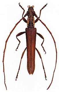
_Blackburn_BMNH_Victoria_Aust_Slip_Esc.jpg)
Specimen Type: holotype Institution: BMNH British Museum Natural History, London, UK Photographer: Slipinski & Escalona Collection Location: Victoria, Australia 62048
|

Photographer: Slipinski & Escalona 62049
|

Photographer: Thongpak & Wang 66457
|

Institution: CAS California Academy of Sciences, San Francisco, CA, USA Photographer: Larry G. Bezark 66458
|
|