New Search Family, Subfamily and Tribe List

SubFamily Cerambycinae

Tribe Rhagiomorphini
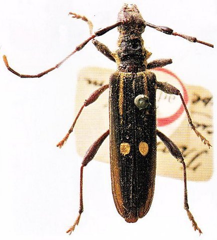
Tropis oculifera (Newman, 1840)

Rhagiomorpha oculifera Newman
Specimen Type: syntype
Institution: BMNH British Museum Natural History, London, UK
Photographer: Slipinski & Escalona
Collection Location: Australia
61853


Photographer: Slipinski & Escalona
62022


Photographer: Slipinski & Escalona
62023

130425