_Pascoe_BMNH_New_Cambria_Aust_Slip_Esc.jpg)
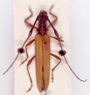
Tritocosmia rubea Pascoe Specimen Type: holotype Institution: BMNH British Museum Natural History, London, UK Photographer: Slipinski & Escalona Collection Location: New Cambria, Australia 62010
|

Institution: CAS California Academy of Sciences, San Francisco, CA, USA Photographer: Larry G. Bezark 61220
|