_roei_Hope_now_Tritocosmia.jpg)
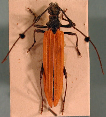
Stenocorus roei Hope Specimen Type: holotype Institution: OXUM Hope Department of Entomology, Oxford University Museum of Natural History, England Determiner: Transactions Ent Soc of London Collection Location: Swan River, Western Australia 61210
|
_Hope_OXUM_Swan_River_W_Aust_now_Tritocosmia_Slip_Esc.jpg)
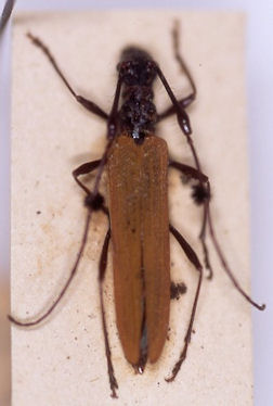
Stenoderus roei Hope Specimen Type: holotype Institution: OXUM Hope Department of Entomology, Oxford University Museum of Natural History, England Photographer: Slipinski & Escalona Collection Location: Swan River, Western Australia 61919
|