New Search Family, Subfamily and Tribe List

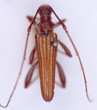
SubFamily Cerambycinae

Tribe Rhagiomorphini
Tropis lepturoides (Boisduval, 1835)

Photographer: Slipinski & Escalona
62021


Institution: CAS California Academy of Sciences, San Francisco, CA, USA
Photographer: Larry G. Bezark
59866


Photographer: Jim Cope
Collection Location: Australia
59867

130425