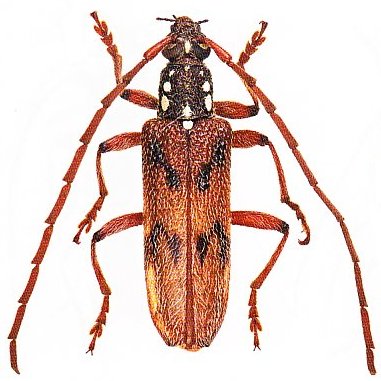
_Hope_OXUM_Aust_now_Strongylurus_Slip_Esc.jpg)
Coptopterus cretifera Hope Specimen Type: holotype Institution: OXUM Hope Department of Entomology, Oxford University Museum of Natural History, England Photographer: Slipinski & Escalona Collection Location: Australia 61497
|
_Pascoe_BMNH_S_Australia_now_Strongylurus_Slip_Esc.jpg)
Isalium odewahnii Pascoe Specimen Type: holotype Institution: BMNH British Museum Natural History, London, UK Photographer: Slipinski & Escalona Collection Location: Southern Australia 61622
|