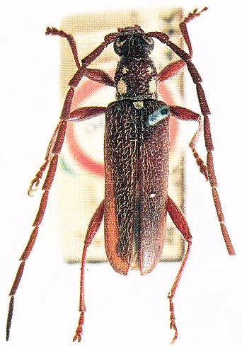
_Pascoe_BMNH_Tasmania_Aust_Slip_Esc.jpg)
Specimen Type: holotype Institution: BMNH British Museum Natural History, London, UK Photographer: Slipinski & Escalona Collection Location: Tasmania, Australia 61922
|

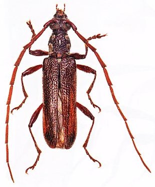
Institution: CAS California Academy of Sciences, San Francisco, CA, USA Photographer: Larry G. Bezark 35928
|