New Search Family, Subfamily and Tribe List

SubFamily Cerambycinae

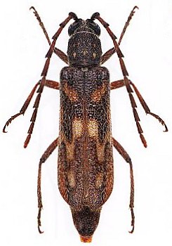
Tribe Strongylurini
Opsidota infecta Pascoe 1862

Specimen Type: syntype
Institution: BMNH British Museum Natural History, London, UK
Photographer: Slipinski & Escalona
Collection Location: Southern Australia
61712


Photographer: Slipinski & Escalona
61713


55186

130425