New Search Family, Subfamily and Tribe List

SubFamily Cerambycinae

Tribe Strongylurini
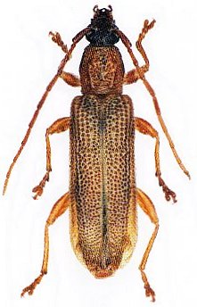
Omotes unicolor (Pascoe, 1865)

Exaereta unicolor Pascoe
Specimen Type: holotype
Institution: BMNH British Museum Natural History, London, UK
Photographer: Slipinski & Escalona
Collection Location: Gawler, Southern Australia
61576


Photographer: Slipinski & Escalona
61700


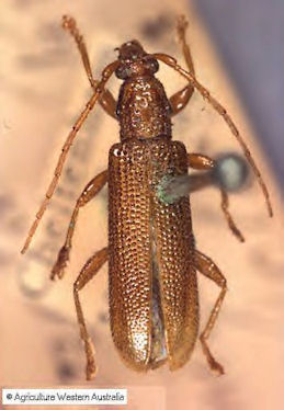
Photographer: Agriculture Western Australia Natarsha Zilm
40676


40675

130425