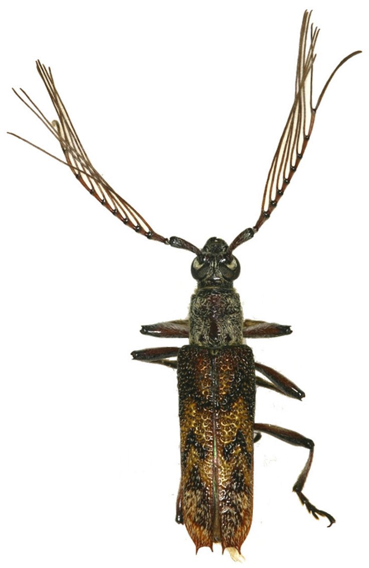
_Blackburn_SAM_Northern Terr_Aust_Slip_Esc.jpg)
Specimen Type: holotype Sex: m Institution: SAMA South Australian Museum, Adelaide Photographer: Slipinski & Escalona Collection Location: Northern Territory, Australia 61298
|
_Blackburn_SAM_N_Territory_Australia_PJ.jpg)
Specimen Type: holotype Sex: m Institution: SAMA South Australian Museum, Adelaide Collection Location: N Territory, Australia 71076
|
_Blackburn_SAM_N_Territory_Australia_PJ.jpg)
Specimen Type: holotype Sex: m Institution: SAMA South Australian Museum, Adelaide Collection Location: N Territory, Australia 71077
|
_Blackburn_ANIC_Burra_Range_Queensland_Australia_PJ.jpg)
Sex: m Institution: ANIC Australian National Insect Collection, Canberra Collection Location: Burra Range, Queensland, Australia 71078
|
|