_Newman_OXUM_Adelaide_Aust_Slip_Esc.jpg)
Specimen Type: holotype Institution: OXUM Hope Department of Entomology, Oxford University Museum of Natural History, England Photographer: Slipinski & Escalona Collection Location: Adelaide, Australia 61981
|
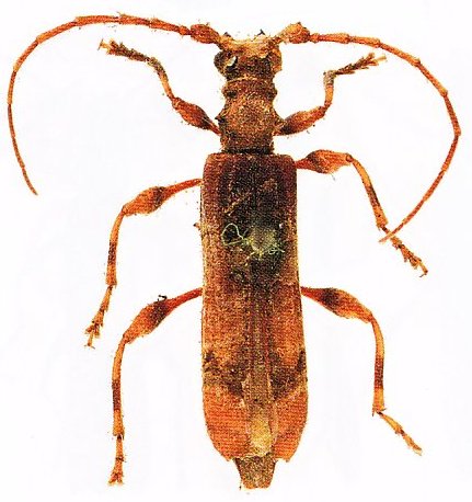
_Hope_OXUM_Aust_now_Tessaromma_Slip_Esc.jpg)
Meropachys maclaeayii Hope Specimen Type: holotype Institution: OXUM Hope Department of Entomology, Oxford University Museum of Natural History, England Photographer: Slipinski & Escalona Collection Location: Australia 61651
|