_Hope_OXUM_Swan_River_settlement_W_Aust_now_Tessaromma_Slip_Esc.jpg)
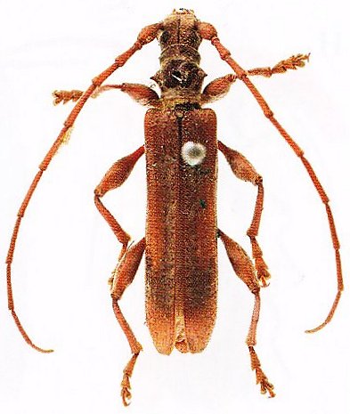
Meropachys tristis Hope Specimen Type: holotype Institution: OXUM Hope Department of Entomology, Oxford University Museum of Natural History, England Photographer: Slipinski & Escalona Collection Location: Swan River settlement, Western Australia 61652
|

Tessaromma sericans (Erichson) Institution: CAS California Academy of Sciences, San Francisco, CA, USA Photographer: Larry G. Bezark 63629
|