New Search Family, Subfamily and Tribe List

SubFamily Cerambycinae

Tribe Phlyctaenodini
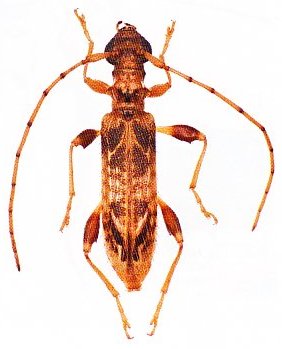
Escalonia loxleyae (McKeown, 1942)

Tessaromma loxleyae McKeown
Specimen Type: holotype
Institution: AMSA Australian Museum Sydney, Australia
Photographer: Slipinski & Escalona
Collection Location: Lugarno, New South Wales, Australia
61975


Photographer: Slipinski & Escalona
61976

130425