New Search Family, Subfamily and Tribe List

SubFamily Cerambycinae

Tribe Aphanasiini
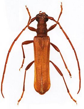
Aphanosperma occidentalis Britton 1969

Specimen Type: holotype
Sex: m
Institution: ANIC Australian National Insect Collection, Canberra
Photographer: Slipinski & Escalona
Collection Location: Albany, Western Australia
61281


Sex: f
Photographer: Slipinski & Escalona
61282


Photographer: Agriculture Western Australia Natarsha Zilm
Collection Location: Australia
32150

130425