New Search Family, Subfamily and Tribe List

SubFamily Cerambycinae

Tribe Callidiopini
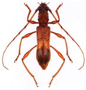
Porithodes pustulata Carter 1930

Specimen Type: holotype
Sex: m
Institution: AMSA Australian Museum Sydney, Australia
Photographer: Slipinski & Escalona
Collection Location: Clermont Peak Downs, Queensland, Australia
61830


Photographer: Slipinski & Escalona
61831

130425