_Lea_SAM_Slip_NSW_Qld_Aust_now_Porithodes_Esc.jpg)
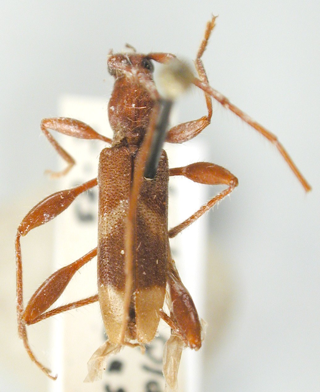
Porithea obliqua Lea Specimen Type: holotype Institution: SAMA South Australian Museum, Adelaide Photographer: Slipinski & Escalona Collection Location: New South Wales/Queensland, Australia 61826
|
_Aurivillius_Australia.jpg)
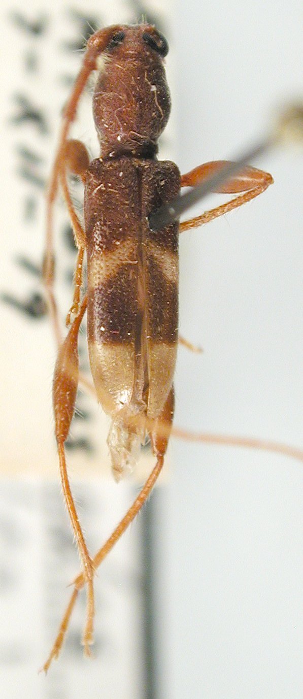
Porithodes fasciata Aurivillius Specimen Type: syntype Institution: NHRS Naturhistoriska Riksmuseet, Stockholm, Sweden Determiner: Arkiv för Zoologi, Uppsala Collection Location: Mt Tambourine, Queensland, Australia 57449
|
 Mt Gloriosus, Queensland, Australia JCPC LGB.jpg)
Institution: JCPC Jim Cope Collection, San Jose, California, USA now at CSCA, Sacramento Photographer: Larry G. Bezark Determiner: Jim Cope Collection Location: Mt Gloriosus, Queensland, Australia 99545
|
 Mt Gloriosus, Queensland, Australia JCPC LGB.jpg)
Institution: JCPC Jim Cope Collection, San Jose, California, USA now at CSCA, Sacramento Photographer: Larry G. Bezark Determiner: Jim Cope Collection Location: Mt Gloriosus, Queensland, Australia 99546
|
|