New Search Family, Subfamily and Tribe List

SubFamily Cerambycinae

Tribe Callidiopini
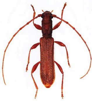
Ectinope spinicollis Pascoe 1875

Specimen Type: holotype
Sex: m
Institution: BMNH British Museum Natural History, London, UK
Photographer: Slipinski & Escalona
Collection Location: Sydney, New South Wales, Australia
61551


Photographer: Slipinski & Escalona
61552

130425