_Aurivillius_Australia.jpg)
Specimen Type: holotype Institution: NHRS Naturhistoriska Riksmuseet, Stockholm, Sweden Determiner: Arkiv för Zoologi, Uppsala Collection Location: Malanda, Queensland, Australia 45913
|
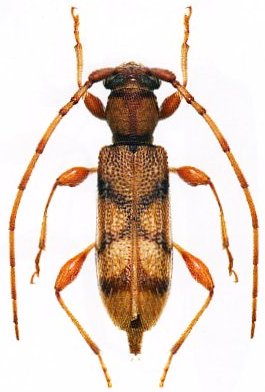
_Aurivillius_NHRS_Malanda_Queensland_Aust_Slip_Esc.jpg)
Specimen Type: syntype Institution: NHRS Naturhistoriska Riksmuseet, Stockholm, Sweden Photographer: Slipinski & Escalona Collection Location: Malanda, Queensland, Australia 61358
|