New Search Family, Subfamily and Tribe List

SubFamily Cerambycinae

Tribe Phoracanthini
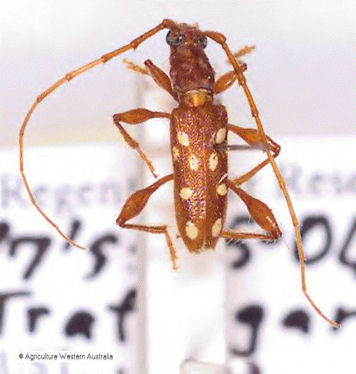
Thoris eburifera Pascoe 1867

Specimen Type: lectotype
Sex: f
Institution: BMNH British Museum Natural History, London, UK
Photographer: Slipinski & Escalona
Collection Location: Rockhampton, Queensland, Australia
61986


Photographer: Slipinski & Escalona
61987


Photographer: Natarsha Zilm, Agriculture Western Australia
64374


Photographer: Wolfgang Heinkel
64375

130425