_Blackburn_SAM_Endeavor_R_Qld_Aust_now_Phoracantha_Slip_Esc.jpg)
Tryphocaria solida Blackburn Specimen Type: lectotype Sex: f Institution: SAMA South Australian Museum, Adelaide Photographer: Slipinski & Escalona Collection Location: Endeavor River, Queensland, Australia 62036
|
_Blackburn_SAM_Endeavor_R_Qld_Aust_now_Phoracantha_Slip_Esc.jpg)
Tryphocaria solida Blackburn Specimen Type: paralectotype Sex: f Institution: SAMA South Australian Museum, Adelaide Photographer: Slipinski & Escalona Collection Location: Endeavor River, Queensland, Australia 62037
|
_Blackburn_MV_Endeavor_R_Qld_Aust_now_Phoracantha_Slip_Esc.jpg)
Tryphocaria solida Blackburn Specimen Type: paralectotype Sex: f Institution: NMM National Museum of Victoria, Melbourne, Australia Photographer: Slipinski & Escalona Collection Location: Endeavor River, Queensland, Australia 62038
|

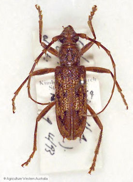
Photographer: Agriculture Western Australia, Natarsha Zilm 56664
|
_Slip_Esc.jpg)
Photographer: Slipinski & Escalona 61807
|
|