New Search Family, Subfamily and Tribe List

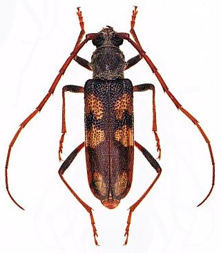
SubFamily Cerambycinae

Tribe Phoracanthini
Phoracantha flavopicta Pascoe 1865

Specimen Type: holotype
Sex: f
Institution: BMNH British Museum Natural History, London, UK
Photographer: Slipinski & Escalona
Collection Location: Gawler, Southern Australia
61777


Photographer: Slipinski & Escalona
61778

130425