_LeConte_MCZ_=_Aneflomorpha.jpg)
Elaphidion subpubescens LeConte Specimen Type: holotype Institution: MCZ Museum of Comparative Zoology, Harvard University, Cambridge, MA, USA Photographer: P. Naskrecki, P. Perkins, and B. Farrell Collection Location: New Jersey 1071
|
_LeConte_MCZ_=_Aneflomorpha.jpg)
Elaphidion subpubescens LeConte Specimen Type: holotype Institution: MCZ Museum of Comparative Zoology, Harvard University, Cambridge, MA, USA Photographer: P. Naskrecki, P. Perkins, and B. Farrell Collection Location: New Jersey 1072
|
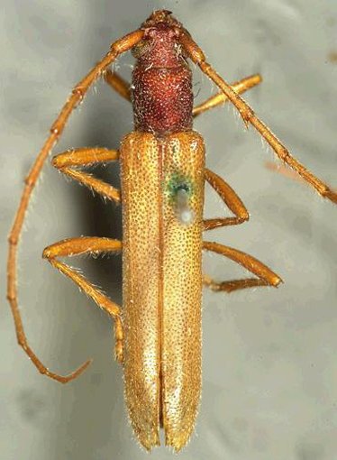
_LeConte_MCZ_=_Aneflomorpha.jpg)
Elaphidion subpubescens LeConte Specimen Type: holotype Institution: MCZ Museum of Comparative Zoology, Harvard University, Cambridge, MA, USA Photographer: P. Naskrecki, P. Perkins, and B. Farrell Collection Location: New Jersey 1073
|
_LeConte_MCZ_=_Aneflomorpha.jpg)
Elaphidion subpubescens LeConte Specimen Type: holotype Institution: MCZ Museum of Comparative Zoology, Harvard University, Cambridge, MA, USA Photographer: P. Naskrecki, P. Perkins, and B. Farrell Collection Location: New Jersey 1074
|
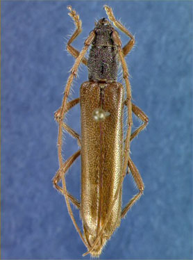
_FSCA.jpg)
Institution: FSCA Florida State Collection of Arthropods, Gainesville, FL, USA Photographer: Mike Thomas 244
|
|