_Macleay_ANIC_Western_coasts_Aust_now_Epithora_Slip_Esc.jpg)
Stenochorus dorsalis Macleay Specimen Type: syntype Institution: ANIC Australian National Insect Collection, Canberra Photographer: Slipinski & Escalona Collection Location: Western Coasts of Australia 61895
|
_Newman_BMNH_Port_Philip_Victoria_Aust_now_Epithora_dorsalis_Slip_Esc.jpg)
Phoracantha imbellis Newman Specimen Type: holotype Sex: m Institution: BMNH British Museum Natural History, London, UK Photographer: Slipinski & Escalona Collection Location: Port Philip, Victoria, Australia 61783
|
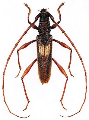
_Hope_OXUM_Sydney_NSW_Aust_now_Epithora_dors_Slip_Esc.jpg)
Stenochorus rhombifera Hope Specimen Type: holotype Sex: m Institution: OXUM Hope Department of Entomology, Oxford University Museum of Natural History, England Photographer: Slipinski & Escalona Collection Location: New South Wales, Australia 61902
|
_Boisduval_BMNH_Aust_now_Epithora_dors_Slip_Esc.jpg)
Stenochorus elongatus Boisduval Specimen Type: holotype Sex: m Institution: BMNH British Museum Natural History, London, UK Photographer: Slipinski & Escalona Collection Location: Australia 61896
|

Institution: LGBC Larry G. Bezark Collection, Sacramento, California, USA Photographer: Larry G. Bezark 39036
|

Institution: UCD University of California, Davis, California, USA Photographer: Larry G. Bezark 39037
|

Institution: LGBC Larry G. Bezark Collection, Sacramento, California, USA Photographer: Larry G. Bezark Determiner: Jim Cope Collection Location: Tazmania 39038
|
_Slip_Esc.jpg)
Photographer: Slipinski & Escalona 61569
|
|