_Linsley_Mexico_USNM_SWL.jpg)
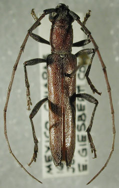
Specimen Type: holotype Sex: m Institution: NMNH United States National Museum, Washington, DC, USA Photographer: Steve Lingafelter Collection Location: Salina Cruz, Oaxaca, Mexico 4361
|
_Linsley_NMNH_JAC.jpg)
Specimen Type: holotype Sex: m Institution: NMNH United States National Museum, Washington, DC, USA Photographer: John Chemsak Collection Location: Salina Cruz, Oaxaca, Mexico 15221
|