_Hope_OXUM_Swan_River_Settlement_W_Aust_now_Coptocercus_Slip_Esc.jpg)
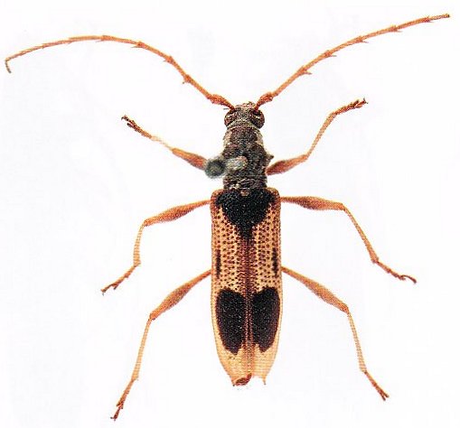
Stenochorus trimaculatus Hope Specimen Type: holotype Sex: f Institution: OXUM Hope Department of Entomology, Oxford University Museum of Natural History, England Photographer: Slipinski & Escalona Collection Location: Swan River, Western Australia 61904
|

Institution: LGBC Larry G. Bezark Collection, Sacramento, California, USA Photographer: Larry G. Bezark Determiner: Francesco Vitali, Cerambycoidea Forum Collection Location: Gregory National Park, N Territory, Australia 50160
|