 Linsley CAS Glen Ranch Alpine, Texas SWL.jpg)
Specimen Type: holotype Sex: m Institution: CAS California Academy of Sciences, San Francisco, CA, USA Photographer: Steve Lingafelter Collection Location: Glen Ranch, Alpine, Brewster County, Texas 80017
|
_Linsley_CAS_4003_LGB_=_Aneflomorpha_seminuda.jpg)
Specimen Type: holotype Sex: m Institution: CAS California Academy of Sciences, San Francisco, CA, USA Photographer: Larry G. Bezark Collection Location: Glen Ranch, Alpine, Brewster County, Texas 20043
|
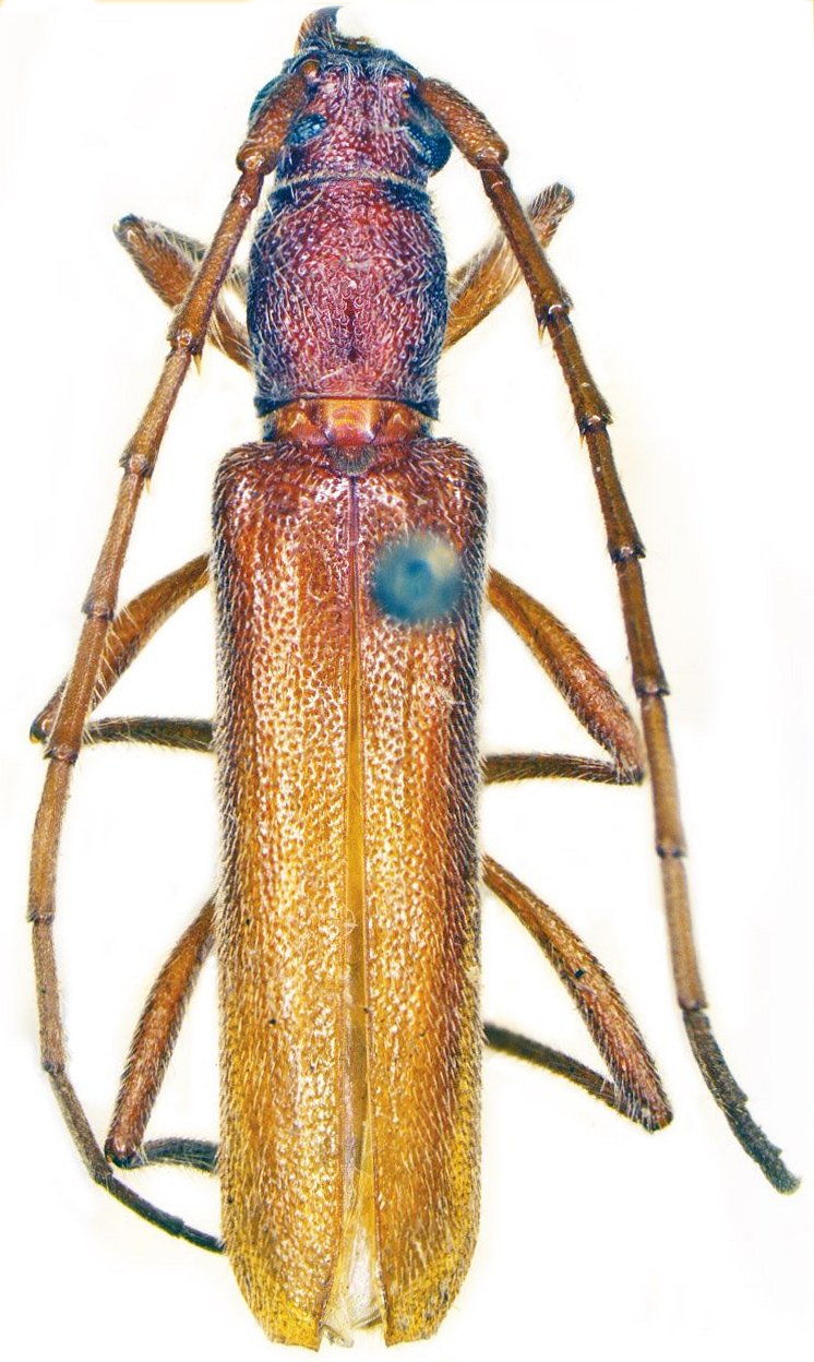
_Chemsak_CAS_7431_LGB.jpg)
Aneflomorpha werneri Chemsak Specimen Type: holotype Sex: m Institution: CAS California Academy of Sciences, San Francisco, CA, USA Photographer: Larry G. Bezark Collection Location: Big Bend National Park, Chisos Mountains, Texas 20044
|
_Chemsak_CAS.jpg)
Aneflomorpha werneri Chemsak Specimen Type: paratype Institution: CAS California Academy of Sciences, San Francisco, CA, USA Photographer: Larry G. Bezark 247
|
_Chemsak_Texas_UCB.jpg)
Aneflomorpha werneri Chemsak Specimen Type: paratype Institution: UCB Essig Museum of Entomology, Berkeley, California, USA Photographer: Larry G. Bezark Collection Location: Texas 248
|

Photographer: Larry G. Bezark 249
|
|