_Pascoe_BMNH_Port_Curtis_Qld_Aust_now_Coptocercus_Slip_Esc.jpg)
Phoracantha pubescens Pascoe Specimen Type: holotype Institution: BMNH British Museum Natural History, London, UK Photographer: Slipinski & Escalona Collection Location: Port Curtis, Queensland, Australia 61802
|
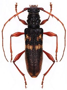
_Blackburn_BMNH_Yorkes_Peninsula_S_Aust_now_pubescens_Slip_Esc.jpg)
Coptocercus fraternus Blackburn Specimen Type: syntype Institution: BMNH British Museum Natural History, London, UK Photographer: Slipinski & Escalona Collection Location: Yorke's Peninsula, Southern Australia 61465
|